Highlander
Arctic Storm
“Arty”
Red mackerel
tabby and white
Dob: 4/12/2023
Sire: Forest Pearl David of
Highlander
Dam: Highlander Icicle
DNA Results: clear of all
50 known DNA markers
HCM Echo 2/19/24 : Normal
HCM Echo 2/17/25 : Normal
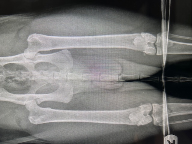
Hip Xray

Arty is the most gorgeous
red boy with an amazing
personality just like his
father,
Just David. Since Just David is nine,
we are hoping that Arty will follow in his footsteps and take over the
reins.
Arty is amazing in type and
temperament and we are
excited to see what he
produces.

ONE
SHOW GRAND CHAMPION
Regional Winner
Grand Champion
Jaspurrcats Bon Jovi of
Highlander
“Jovi”
DOB: 3/25/2021
Sire : GCD BWR NW
JASPURRCATS GIMME
THREE STEPS
DAM: CH JASPURRCATS
PASSION
Breeder: Beth
Feininger

I
saw Jovi and I knew
he had the be
mine!!!
We welcomed him home
in November.
He is a perfect
example of our breed
and has all old
American lineage
behind him.
Thank you Beth for
parting with this
very special boy.
Look forward to
sharing him
together.

Update:
Jovi granded in his
first show out as an
adult in stiff
competition.
We are so very proud
of this boy.